WeatherTiger's Hurricane Watch
Subscribe
Sign in
Home
Notes
Chat
2025 Season-in-Review
Sign up: 25% off!
weathertiger.com
Archive
About
Latest
Top
Discussions
WeatherTiger's 2025 Hurricane Season Review
We've got 67 problems, but the 2025 hurricane season wasn't one (on the Gulf Coast, anyway).
Nov 25
•
Dr. Ryan Truchelut
22
19
1
The Last One: The Hurricane Watch for November 17th
The final regular bulletin of hurricane season finds the Atlantic in no danger of tarnishing its record of no significant U.S. threats in 2025.
Nov 17
•
Dr. Ryan Truchelut
18
11
1
Cold, Rain, and Snow: The Hurricane Watch for November 10th
An Arctic outbreak brings an end to the possibility of U.S. tropical threats for 2025.
Nov 10
•
Dr. Ryan Truchelut
16
11
2
Spinning Down: The Hurricane Watch for November 6th
The Tropics stay quiet as another dagger of Arctic air is set to plunge into Florida.
Nov 6
•
Dr. Ryan Truchelut
19
9
The Gales of November: The Hurricane Watch for November 3rd
The less-than-stormy history of hurricane season's quietest month.
Nov 3
11
7
October 2025
WeatherTiger's Hurricane Melissa Update for October 30th
Melissa will pass Bermuda overnight and become a post-tropical cyclone on Friday.
Oct 30
•
Dr. Ryan Truchelut
13
9
WeatherTiger's Hurricane Melissa Update for October 29th
Melissa is crossing the southeastern Bahamas as a Category 2 hurricane after crossing eastern Cuba overnight.
Oct 29
•
Dr. Ryan Truchelut
12
3
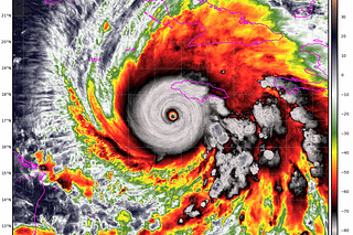
WeatherTiger's Hurricane Melissa Update for October 28th
Melissa ties the record for strongest Atlantic hurricane landfall, devastating Jamaica.
Oct 28
•
Dr. Ryan Truchelut
15
2
2
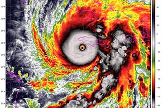
WeatherTiger's Category 5 Hurricane Melissa Forecast for October 27th
Melissa is on track to be the most severe hurricane landfall in Jamaica, and one of the worst anywhere in the Atlantic Basin on record.
Oct 27
•
Dr. Ryan Truchelut
31
13
3
WeatherTiger's Tropical Storm Melissa Forecast for October 24th
Melissa will become a major hurricane by Monday, and is a catastrophe in the making for Jamaica and the north-central Caribbean islands.
Oct 24
•
Dr. Ryan Truchelut
13
1
2
WeatherTiger's Tropical Storm Melissa Forecast for October 23th
Melissa, churning in the Caribbean, is a major hurricane threat to Jamaica, Cuba, and the Bahamas, but continues to pose little risk to the continental…
Oct 23
26
3
3
GFS and Gallant: The Hurricane Watch for October 22nd
Melissa's track shifts west as models struggle, with a rising likelihood of a major hurricane impacting Jamaica, Cuba, and the Bahamas sometime next…
Oct 22
•
Dr. Ryan Truchelut
15
8
This site requires JavaScript to run correctly. Please
turn on JavaScript
or unblock scripts